Track Hurricanes With NOAA's Satellite Tracker

N.Austinpetsalive 17 views
Track Hurricanes With NOAA's Satellite Tracker

Track Hurricanes with NOAA’s Satellite Tracker

Hey guys! Ever wondered how we keep tabs on those massive storms that roll in from the ocean? Well, you’re in luck because today we’re diving deep into the NHC NOAA Gov Satellite Hurricane Tracker , a super cool tool that helps us monitor hurricanes. We’ll explore what it is, how it works, and why it’s so important in keeping us safe. Buckle up, because we’re about to embark on a fascinating journey into the world of hurricane tracking! Understanding the NHC NOAA Gov Satellite Hurricane Tracker is crucial, so let’s get started, shall we?

What is the NHC NOAA Gov Satellite Hurricane Tracker?

Alright, first things first: what exactly is this NHC NOAA Gov Satellite Hurricane Tracker ? Simply put, it’s a website and a set of tools provided by the National Hurricane Center (NHC) and the National Oceanic and Atmospheric Administration (NOAA) that allows you to monitor hurricanes and tropical storms in real-time. Imagine having a window into the heart of a hurricane, seeing its movements, intensity, and potential impact. That’s essentially what this tracker offers. It’s packed with satellite imagery, model forecasts, and detailed information about each storm, all in one place. It’s your go-to source for the latest updates when a hurricane is brewing somewhere in the Atlantic or Pacific. This is important information for everyone in hurricane-prone areas, giving them an advantage when preparing for an incoming storm. The NHC NOAA Gov Satellite Hurricane Tracker pulls data from various sources, including satellites, aircraft reconnaissance, and ground-based observations, which provides a complete and well-rounded perspective of the storm. It’s like having a team of meteorologists working around the clock to provide you with the most up-to-date and accurate information available. The more you understand this tool, the better prepared you’ll be. This system is a critical resource for anyone who wants to stay informed about hurricanes. This includes everyone from meteorologists to people just trying to plan their vacations. This system helps the community to prepare and stay safe when dangerous storms approach. This is the goal of the NHC NOAA Gov Satellite Hurricane Tracker .

Diving into the Tools

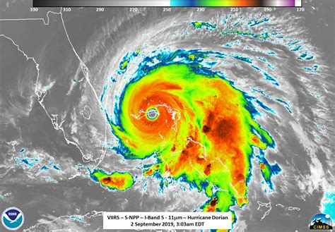
Let’s get down to the nitty-gritty and check out some of the cool tools available on the NHC NOAA Gov Satellite Hurricane Tracker . Satellite imagery is a big one. You can view the storms from space, seeing the swirling clouds and the eye of the hurricane. The images are updated frequently, so you can see how the storm is changing over time. Model forecasts are another key component. These are computer simulations that predict the storm’s future path and intensity. While not always perfect, these models provide valuable insights into where the storm might go and how strong it might become. There are also detailed discussions and reports from the NHC experts, which are updated regularly. These reports provide a comprehensive analysis of the storm, including its current status, potential impacts, and any warnings or watches that are in effect. Another useful tool is the ability to view the storm’s wind field. This allows you to see the areas that are most likely to experience strong winds. This information can be crucial when deciding whether to evacuate or to take other protective actions. With each tool, the goal is the same: to provide the best possible information so that you can make informed decisions and stay safe. The tools are designed to be user-friendly, so even if you’re not a meteorologist, you can still understand the information and use it to your advantage. This tracker provides a range of tools, each with its own benefits and uses.

How the Tracker Works

So, how does the NHC NOAA Gov Satellite Hurricane Tracker actually work ? It’s a complex system, but we can break it down. At its core, it relies on a vast network of satellites, ground stations, and computer models. Satellites play a pivotal role, capturing images and data from space. These satellites use different instruments to measure things like cloud cover, rainfall, and wind speed. The data is then beamed down to ground stations, where it’s processed and analyzed. Computer models come into play, taking the data and simulating the storm’s behavior. These models consider a variety of factors, such as atmospheric conditions, ocean temperatures, and historical data. The models generate forecasts that predict the storm’s path, intensity, and potential impacts. The NHC meteorologists review the data and the model forecasts and then issue advisories, warnings, and watches. These are communicated to the public through the website, social media, and other channels. It’s a continuous process of data collection, analysis, and communication. Think of it as a team effort, with each component playing a vital role in ensuring that the information is accurate and up-to-date. This process is key for providing early warnings, which can save lives. The constant flow of information helps everyone to make informed decisions and prepare for the storm. Understanding how the NHC NOAA Gov Satellite Hurricane Tracker works is key to appreciating its value. This is how the tracker keeps everyone safe during hurricane season.

Data Sources and Analysis

Let’s take a closer look at the data sources and the analysis that goes into the NHC NOAA Gov Satellite Hurricane Tracker . The main data source is satellite imagery, which provides a comprehensive view of the storm’s structure and movement. Other data sources include aircraft reconnaissance, which involves flying airplanes directly into the storm to gather data, and ground-based observations, which include information from weather stations and radar systems. The NHC meteorologists use this data to analyze the storm’s current status and to forecast its future behavior. They use computer models to simulate the storm’s path and intensity. They also consider a variety of other factors, such as the storm’s interaction with the surrounding environment, which allows them to issue accurate and timely advisories, warnings, and watches. The analysis is a critical part of the process, ensuring that the public receives the best possible information. The accuracy of the information depends on the quality and quantity of the data. The more data they have, the better the analysis will be. This is why the NHC uses such a wide range of data sources, so they can get a complete picture of the storm. The analysis is a critical aspect of the NHC NOAA Gov Satellite Hurricane Tracker , helping keep everyone safe.

Why the Tracker is Important

Alright, so why is the NHC NOAA Gov Satellite Hurricane Tracker so important? Well, it’s pretty simple: it helps save lives and protect property. By providing early warnings, the tracker gives people time to prepare for a hurricane. This can include evacuating, securing their homes, and stocking up on supplies. It helps local authorities to make informed decisions about evacuations and emergency response. It also provides valuable information to businesses and organizations, allowing them to take steps to protect their assets and their employees. The tracker also provides a clear and concise picture of the storm’s potential impacts. This helps people to understand the risks and to make informed decisions about their safety. In short, the NHC NOAA Gov Satellite Hurricane Tracker is a crucial tool for anyone living in a hurricane-prone area. The tracker’s ability to monitor storms in real time, combined with its forecasting capabilities, allows the public to be well-informed and well-prepared. This can make all the difference when a hurricane is bearing down on your community. It provides you with the information you need to stay safe during hurricane season. This tool helps everyone prepare.

Impact on Communities

The impact of the NHC NOAA Gov Satellite Hurricane Tracker on communities is massive. When a hurricane threatens, this tool helps people to get ready and stay safe. It allows local authorities to make quick decisions about evacuations and disaster relief. The tracker offers real-time updates and detailed forecasts, which help communities understand the risks and take appropriate actions. This level of information is vital for everyone. The data allows emergency responders to allocate resources efficiently, ensuring that aid reaches the people who need it most. Also, businesses use the information to prepare, protecting their assets and ensuring business continuity. The tracker helps people to feel more prepared and less anxious during a crisis. It fosters a sense of community resilience, as people work together to face the challenge. This is all due to the NHC NOAA Gov Satellite Hurricane Tracker . The NHC NOAA Gov Satellite Hurricane Tracker plays a key role in protecting the communities from hurricanes.

Using the Tracker: A Simple Guide

Okay, so how do you actually use the NHC NOAA Gov Satellite Hurricane Tracker ? It’s easier than you might think. First, head over to the NHC website. The website is user-friendly and well-organized. You’ll find a map of the Atlantic and Pacific oceans, with any active tropical cyclones marked. Click on a storm to get more detailed information. This will take you to a page with satellite imagery, model forecasts, and other relevant data. Pay attention to the advisory updates. The NHC issues these updates regularly, which contain the latest information on the storm’s location, intensity, and potential impacts. Familiarize yourself with the different tools. The website offers various tools, such as satellite imagery, model forecasts, and wind-field maps. Take some time to explore these tools and to understand how they work. Stay informed. The NHC NOAA Gov Satellite Hurricane Tracker is a valuable resource, and it’s important to stay up-to-date on the latest information. Check the website frequently, especially during hurricane season. This way, you’ll be well-prepared and can take the necessary precautions to protect yourself and your family. Staying informed is important, especially during hurricane season. Keep the website bookmarked so you can easily access it whenever you need it. By using the NHC NOAA Gov Satellite Hurricane Tracker , you’ll be able to stay informed and safe.

Interpreting the Information

Understanding how to interpret the information on the NHC NOAA Gov Satellite Hurricane Tracker is very important. Always start with the official advisories. These advisories provide the most up-to-date information on the storm’s location, intensity, and potential impacts. Pay attention to the forecast cone. The forecast cone shows the likely path of the storm, but it’s important to remember that the storm could move anywhere within that cone. Check the wind-field map. This map shows the areas that are most likely to experience strong winds. Use this information to assess the risks to your home and your community. Review the rainfall forecast. Hurricanes often bring heavy rainfall, which can lead to flooding. Pay attention to the potential for storm surge. Storm surge is a rise in sea level that can be very dangerous. The NHC NOAA Gov Satellite Hurricane Tracker is a great tool, but it’s also important to use other sources of information, such as local news and emergency management officials. This will give you a complete picture of the risks and allow you to make informed decisions about your safety. Understanding the information on the tracker can make a huge difference in your safety. Learning to read the information on the NHC NOAA Gov Satellite Hurricane Tracker is important.

Staying Safe During Hurricane Season

Okay, we’ve talked about the NHC NOAA Gov Satellite Hurricane Tracker , but how do you stay safe during hurricane season? First, be prepared. Have a hurricane preparedness kit ready, including water, food, first-aid supplies, and a flashlight. Know your evacuation zone. If you live in an area that’s at risk of flooding or storm surge, know your evacuation zone and be ready to evacuate if necessary. Stay informed. Monitor the NHC NOAA Gov Satellite Hurricane Tracker and other sources of information to stay up-to-date on the latest weather forecasts. Follow the instructions of local officials. If the authorities issue an evacuation order or other instructions, follow them. Secure your home. Before the storm arrives, secure your home by boarding up windows, trimming trees, and bringing in outdoor furniture. Protect yourself. During the storm, stay indoors and away from windows and doors. Avoid going outside until the storm has passed and local officials have given the all-clear. Be aware of the risks. Hurricanes can bring strong winds, heavy rainfall, and storm surge. Be aware of the risks and take steps to protect yourself. Staying safe during hurricane season is a year-round process. By taking the right steps, you can greatly reduce your risk. This will help you and your family when a hurricane heads your way. Preparing in advance will go a long way in ensuring your safety. The NHC NOAA Gov Satellite Hurricane Tracker is just one tool to help you stay safe.

Additional Safety Tips

Here are some extra safety tips to keep in mind during hurricane season, in addition to using the NHC NOAA Gov Satellite Hurricane Tracker . Create a family emergency plan. This plan should include a list of emergency contacts, evacuation routes, and a meeting place. Make sure to have a plan for pets, as well. Get flood insurance if you live in a flood-prone area. Flood insurance is not typically included in homeowners insurance policies. Know your insurance coverage. Make sure you understand the coverage provided by your homeowners insurance policy. Review your policy and be familiar with the terms and conditions. Stay away from downed power lines. Downed power lines can be very dangerous. If you see a downed power line, stay away from it and report it to the authorities. Never wade or drive through floodwaters. Floodwaters can be contaminated with bacteria and chemicals. They can also be deeper than they appear. Heed all warnings and advisories from local authorities. Following these additional safety tips will help you and your family stay safe during hurricane season. The NHC NOAA Gov Satellite Hurricane Tracker is a great tool, but it’s not the only thing you need to stay safe.

Conclusion: Your Guide to Hurricane Tracking

So, there you have it, guys! The NHC NOAA Gov Satellite Hurricane Tracker is an awesome resource that plays a huge role in keeping us safe during hurricane season. Understanding how it works, how to use it, and why it’s so important is key to being prepared. By staying informed, following safety guidelines, and heeding the advice of local officials, we can all weather the storm. Make sure you bookmark the website and check it often during hurricane season. Remember, being prepared is the best way to stay safe! The NHC NOAA Gov Satellite Hurricane Tracker is a very important tool. Stay safe out there! This is your ultimate guide to the NHC NOAA Gov Satellite Hurricane Tracker .