Tallahassee Hurricane Live: Real-Time Updates & Coverage

N.Austinpetsalive 62 views
Tallahassee Hurricane Live: Real-Time Updates & Coverage

Tallahassee Hurricane Live Footage: Real-Time Updates & Coverage

Hey guys! Are you looking for the latest updates and live coverage of the hurricane situation in Tallahassee? You’ve come to the right place. In this article, we’ll dive deep into everything you need to know, from real-time updates to safety measures and resources. Buckle up, stay informed, and let’s get through this together!

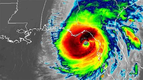
What’s Happening in Tallahassee?

So, what’s the deal with the hurricane in Tallahassee? Understanding the current situation is the first step in staying safe and informed. We’re talking about tracking the hurricane’s path , its intensity, and the potential impact on our beloved city. Here’s a breakdown:

  • Hurricane Tracking: Keep an eye on where the hurricane is headed. Forecasters use sophisticated models to predict the storm’s trajectory, but it can change, so stay updated .
  • Intensity: The strength of the hurricane is crucial. Is it a Category 1, or something more severe? The higher the category, the greater the potential for damage.
  • Potential Impact: What kind of impact are we expecting in Tallahassee? This includes everything from heavy rainfall and strong winds to potential flooding and power outages. Knowing the potential impact helps you prepare your home and family.

Real-time updates are your best friend during a hurricane. Follow local news channels, weather websites, and social media for the latest information . The National Hurricane Center (NHC) is an excellent resource for official updates and forecasts. They provide detailed reports and maps that can help you understand the storm’s progress. Don’t rely on unverified sources; stick to official channels for the most accurate information. Local news channels often have live coverage and reporters on the ground, providing real-time insights into what’s happening in different parts of the city. Weather websites offer detailed forecasts and radar imagery, helping you visualize the storm’s movement. Social media can also be a valuable source, but be sure to verify information before sharing it. Follow official accounts from emergency services and news organizations to avoid spreading misinformation. Remember, staying informed is the first step in staying safe.

Live Footage and Updates

Alright, let’s get to the heart of the matter: live footage and real-time updates . During a hurricane, access to live information is crucial. It allows you to see what’s happening in different parts of the city, assess the severity of the situation, and make informed decisions about your safety. Here are some reliable sources for live footage and updates:

  • Local News Channels: Most local news stations offer live streaming on their websites and social media pages. These streams often include on-the-ground reporting, interviews with officials, and up-to-the-minute weather updates.
  • Weather Websites: Reputable weather websites, like The Weather Channel, provide live radar and satellite imagery, allowing you to track the storm’s movement in real-time.
  • Social Media: Platforms like Twitter can be a great source of instant updates . Follow local reporters, emergency services, and government agencies for the latest news. Just remember to verify the information before sharing it.

When viewing live footage, pay attention to the details. Look for signs of flooding, downed power lines, and other hazards. Use this information to assess the situation in your area and make informed decisions about whether to evacuate or shelter in place. Remember, conditions can change rapidly during a hurricane, so it’s essential to stay vigilant and continuously monitor the situation. Also, be aware of the source of the footage. Ensure that it comes from a reputable news organization or government agency. Avoid sharing unverified images or videos, as they may be misleading or inaccurate. Staying informed with reliable live footage can help you make the best decisions for your safety and the safety of your loved ones. Keep those eyes peeled and stay safe, Tallahassee!

Preparing for the Hurricane

Okay, preparation is key , guys. Getting ready before the storm hits can make a huge difference in your safety and well-being. Let’s break down the essential steps:

  • Emergency Kit: Gather essential supplies like water, non-perishable food, a first-aid kit, flashlights, batteries, and medications. Don’t forget personal hygiene items and any special needs items for family members or pets.
  • Home Protection: Secure your home by boarding up windows, trimming trees, and bringing in outdoor furniture. These simple steps can prevent significant damage from strong winds and flying debris.
  • Evacuation Plan: Know your evacuation route and have a plan in place in case you need to leave your home. Identify safe shelters or hotels outside the affected area and make arrangements for transportation and accommodation.

Creating a detailed emergency plan is crucial for ensuring your family’s safety during a hurricane. This plan should include evacuation routes, communication strategies, and meeting points in case you get separated. Discuss the plan with all family members and conduct practice drills to ensure everyone knows what to do. Designate a safe room in your home where you can shelter during the storm. This should be an interior room with no windows, preferably on the lowest level of the building. Reinforce the room if possible by adding extra support to the walls and ceiling. Ensure that everyone knows the location of the safe room and how to get there quickly. A well-thought-out emergency plan can significantly reduce stress and confusion during a hurricane. It helps everyone stay calm and focused on taking the necessary steps to protect themselves. So, take the time to create a plan that works for your family and practice it regularly.

Staying Safe During the Storm

Alright, the storm’s here. Now what? Staying safe during a hurricane is all about common sense and following safety guidelines. Here’s the lowdown:

  • Shelter in Place: If you’re not in an evacuation zone, stay indoors in a safe room. Avoid windows and doors.
  • Stay Informed: Continue monitoring news and weather updates. Conditions can change rapidly, so it’s essential to stay informed.
  • Conserve Resources: Use water and electricity sparingly. Power outages are common during hurricanes, so conserve your resources.

Avoiding hazards is paramount during a hurricane. Stay away from windows and doors, as these are the most vulnerable points in your home. If possible, move to an interior room on the lowest level of the building. Be aware of the risk of flooding. Stay away from low-lying areas and avoid driving through flooded streets. Never walk or drive through standing water, as it may be contaminated with sewage or chemicals. Downed power lines are another significant hazard. Stay away from any downed lines and report them to the authorities immediately. Do not attempt to move or touch downed power lines yourself. Listen to the advice of emergency officials and follow their instructions. They are trained to assess the situation and provide guidance on how to stay safe. Remember, your safety is the top priority. Stay calm, stay informed, and follow these guidelines to minimize your risk during the storm. Let’s get through this together, Tallahassee!

Resources and Support

Okay, folks, let’s talk about resources and support . Knowing where to turn for help during and after a hurricane is crucial. Here are some key resources:

  • Emergency Services: Dial 911 for emergencies. They’re your go-to for immediate help.
  • Local Government: Check the city and county websites for updates and resources. They often provide information on shelters, evacuation routes, and assistance programs.
  • Charitable Organizations: Organizations like the Red Cross offer assistance to those affected by the hurricane. They provide shelter, food, and other essential services.

Community support is vital during a hurricane. Check on your neighbors, especially those who may be elderly or have disabilities. Offer assistance if you can, whether it’s helping them evacuate, sharing resources, or simply providing emotional support. After the storm, volunteer your time to help with cleanup efforts. Many organizations coordinate volunteer activities, such as clearing debris, distributing supplies, and repairing homes. Participating in these activities can help the community recover more quickly and build stronger bonds. Remember, we’re all in this together. By supporting each other, we can overcome the challenges of a hurricane and emerge stronger as a community. So, reach out to your neighbors, lend a helping hand, and let’s rebuild Tallahassee together. We’ve got this!

After the Hurricane: Recovery

Alright, the storm has passed. Now comes the recovery phase . This can be a challenging time, but with the right approach, we can rebuild and move forward. Here’s what you need to know:

  • Assess Damage: Check your home for damage and report it to your insurance company. Document everything with photos and videos.
  • Stay Safe: Be aware of hazards like downed power lines and debris. Continue to follow safety guidelines.
  • Seek Assistance: Take advantage of available resources and assistance programs. Many organizations offer support to those affected by the hurricane.

Rebuilding your life after a hurricane can be a long and difficult process. Be patient with yourself and others. It’s okay to feel overwhelmed or stressed. Seek emotional support from friends, family, or mental health professionals. Take things one step at a time and focus on the most important tasks first. Prioritize your safety and well-being. Ensure that you have access to food, water, and shelter. Take breaks and allow yourself time to rest and recharge. Remember, you’re not alone. Many people are going through the same challenges. Connect with others in your community and share your experiences. Support groups and community events can provide a sense of belonging and help you feel less isolated. With resilience and determination, we can rebuild our lives and create a brighter future for Tallahassee. Keep your chin up, stay strong, and remember that we’re all in this together. We will get through this, Tallahassee!

Stay safe, stay informed, and let’s get through this together, Tallahassee! We’ve got this!