NOAA Satellite Hurricane Tracker: Your Go-To Guide

N.Austinpetsalive 113 views
NOAA Satellite Hurricane Tracker: Your Go-To Guide

NOAA Satellite Hurricane Tracker: Your Go-To Guide

Hey everyone! Let’s talk about staying safe during hurricane season. One of the most powerful tools we have at our disposal is the NOAA satellite hurricane tracker . You might be wondering, “What exactly is it and how does it work?” Well, guys, it’s essentially the eyes in the sky that help us monitor these massive storms as they develop and move across the oceans. These aren’t just pretty pictures; they’re critical data streams providing real-time information on storm intensity, size, and trajectory. When we talk about NOAA satellite hurricane tracker , we’re referring to a sophisticated network of satellites operated by the National Oceanic and Atmospheric Administration (NOAA), which constantly observe Earth’s weather patterns. They collect a vast array of data, including cloud cover, temperature, wind speed, and atmospheric moisture. This information is then processed and analyzed to help meteorologists understand and predict the behavior of hurricanes. Think of it as the ultimate weather forecast, but for the most destructive storms on the planet. The insights gained from these satellites are absolutely crucial for issuing timely warnings and evacuation orders, potentially saving countless lives and minimizing damage. Without the continuous monitoring provided by the NOAA satellite hurricane tracker , our ability to prepare for and respond to hurricanes would be significantly hampered. It’s a testament to human ingenuity and our dedication to understanding and mitigating the impacts of natural disasters. So, next time you hear about a hurricane, remember the incredible technology working behind the scenes, keeping us informed and safer.

Understanding the Power of NOAA Satellites

The backbone of any effective NOAA satellite hurricane tracker system is, of course, the satellites themselves. NOAA operates a fleet of geostationary and polar-orbiting satellites that provide continuous coverage of the Earth. Geostationary satellites, like the GOES (Geostationary Operational Environmental Satellite) series, hover over the same spot on Earth, allowing for constant monitoring of a specific region. This is incredibly valuable for tracking rapidly developing storms like hurricanes, as it provides a steady stream of images and data. You can see the storm’s evolution, how it’s spinning, and where it’s heading with amazing detail. On the other hand, polar-orbiting satellites travel in a north-south path, circling the globe and capturing images of the entire planet as Earth rotates beneath them. While they don’t provide continuous coverage of one area, they offer higher-resolution data and can observe areas that geostationary satellites might miss. The combination of these different types of satellites gives us a comprehensive view of tropical cyclone activity. Meteorologists use the data from the NOAA satellite hurricane tracker to identify the initial disturbances that could become tropical depressions, then tropical storms, and finally, hurricanes. They look for specific patterns in cloud formations, sea surface temperatures, and atmospheric pressure that indicate a storm is likely to form and intensify. The algorithms and models used to process this satellite data are incredibly complex, constantly being refined to improve accuracy. It’s not just about seeing the storm; it’s about understanding the forces driving it and predicting its future path and intensity. This constant vigilance is what makes the NOAA satellite hurricane tracker such a vital component of our national weather infrastructure, providing the early warnings that are so essential for public safety.

How the Tracker Helps Forecasters

When we talk about the NOAA satellite hurricane tracker , we’re really talking about the tools and techniques meteorologists use to interpret the wealth of information coming from space. It’s not just about pointing a satellite at a storm and saying, “There it is!” Guys, it’s a much more involved process. Forecasters use specialized software to analyze satellite imagery, looking for key indicators of a hurricane’s strength and direction. They can measure the temperature of cloud tops, which gives them clues about the storm’s intensity. Colder cloud tops often mean stronger updrafts and a more powerful storm. They also track the movement of cloud patterns to determine the storm’s current track and help project its future path. Furthermore, the NOAA satellite hurricane tracker provides data on atmospheric conditions surrounding the storm, such as wind shear (changes in wind speed and direction with height) and moisture content. High wind shear can disrupt a hurricane’s structure and weaken it, while abundant moisture can fuel its growth. Satellites also measure sea surface temperatures, which are crucial because warm ocean waters are the primary energy source for hurricanes. If the water is too cool, a storm can struggle to maintain or increase its intensity. The data from the NOAA satellite hurricane tracker is fed into sophisticated computer models that simulate atmospheric behavior. These models run thousands of simulations, generating a range of possible storm tracks and intensity forecasts. Forecasters then use their expertise to analyze these model outputs, identify the most likely scenario, and issue warnings and advisories to the public. It’s a blend of cutting-edge technology and human expertise, all working together to give us the best possible advance notice of these dangerous storms. The accuracy of these predictions has improved dramatically over the years, largely thanks to advancements in satellite technology and modeling.

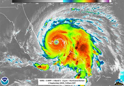
Visualizing Hurricane Data

One of the most impactful ways the NOAA satellite hurricane tracker helps us is through visualization. Seeing is believing, right? When a hurricane is brewing, NOAA provides incredible imagery and data visualizations that make it easier for everyone, from expert meteorologists to concerned citizens, to understand what’s happening. These visualizations include:

  • Visible Satellite Images: These are like high-resolution photos taken from space, showing the clouds associated with the storm. They’re great for seeing the overall structure, size, and rotation of the hurricane.
  • Infrared Satellite Images: These images show the temperature of the cloud tops. As mentioned before, colder temperatures (often depicted as white or yellow) indicate higher, more intense thunderstorms within the hurricane.
  • Water Vapor Images: These highlight the moisture content in the atmosphere, helping forecasters understand where the storm is drawing in humid air.
  • Storm Tracks and Intensity Forecasts: NOAA often overlays predicted paths and intensity levels onto maps, giving a clear visual representation of where the storm is expected to go and how strong it might become. These are typically shown as cones of uncertainty, indicating the range of possible paths.
  • Doppler Radar Overlays: While not strictly satellite data, NOAA integrates radar information when storms make landfall. Radar shows precipitation intensity and can even detect wind patterns within the storm, providing crucial details about its immediate impact.

These visualizations aren’t just for show; they are critical tools for communication. They help emergency managers plan evacuations, businesses prepare for potential damage, and families make informed decisions about their safety. The NOAA satellite hurricane tracker ensures that this vital information is accessible, often through websites and apps, allowing people to stay informed in real-time. The ability to visually track a hurricane’s progress and understand its potential threat is a game-changer for disaster preparedness. It transforms abstract data into a tangible threat that people can comprehend, motivating them to take necessary precautions. It’s this clear, visual communication that empowers communities to act and protect themselves when a hurricane approaches.

Staying Informed with NOAA’s Resources

So, how can you, the average person, actually use the information from the NOAA satellite hurricane tracker ? It’s easier than you think, guys! NOAA provides a wealth of resources that are designed to be accessible to the public. The primary hub for this information is the National Hurricane Center (NHC) website, which is part of NOAA. Here, you’ll find the latest advisories, hurricane forecasts, and those all-important track maps. They also provide satellite imagery and data that you can explore. Many local news outlets and weather apps pull directly from NOAA’s data, so you’re likely already seeing the output of the NOAA satellite hurricane tracker in your daily weather reports. However, it’s always a good idea to go straight to the source for the most up-to-date and detailed information, especially when a storm is active. NOAA also has social media accounts and alert systems that can push notifications directly to your phone. During hurricane season, which runs from June 1st to November 30th in the Atlantic, it’s recommended to bookmark the NHC website and familiarize yourself with the terminology used in their reports. Understanding terms like “tropical storm watch,” “tropical storm warning,” “hurricane watch,” and “hurricane warning” is crucial. A watch means conditions are possible within a specified area, while a warning means those conditions are expected. The NOAA satellite hurricane tracker is the foundation for all these warnings. By staying connected to these resources, you’re not just passively observing the weather; you’re actively engaging with the tools that help keep you and your loved ones safe. It’s about being prepared, not scared, and NOAA’s resources are designed to facilitate exactly that.

Preparing for Hurricane Season

Leveraging the NOAA satellite hurricane tracker is a cornerstone of effective hurricane preparedness. It’s not just about knowing a storm is coming; it’s about knowing when , where , and how strong it might be, allowing for timely and appropriate actions. Think of it as your early warning system, giving you the precious time needed to secure your home, prepare an evacuation kit, and make crucial decisions about your family’s safety. Beyond just checking the forecasts, being prepared involves creating a comprehensive hurricane plan. This includes identifying evacuation routes from your home and workplace, establishing a communication plan with family members (especially if you get separated), and assembling a disaster supply kit. Your kit should contain essentials like water, non-perishable food, a first-aid kit, medications, a flashlight, batteries, a battery-powered or hand-crank radio, and important documents in a waterproof container. The NOAA satellite hurricane tracker data helps inform the urgency and scope of these preparations. A storm projected to make landfall as a Category 4 hurricane requires a much more robust response than one predicted to be a Category 1. Furthermore, understanding the potential for storm surge, which is often highlighted in NOAA’s forecasts and advisories, is critical, as it can be the most dangerous aspect of a hurricane. Many coastal areas have specific evacuation zones based on storm surge risk, and knowing if you are in one is paramount. The information provided by the NOAA satellite hurricane tracker is the scientific basis for these zone designations and evacuation orders. By actively monitoring NOAA’s resources and incorporating that information into your personal preparedness plan, you significantly increase your resilience and the safety of those around you. It transforms the abstract threat of a hurricane into a manageable challenge through informed action.

The Future of Hurricane Tracking

The technology behind the NOAA satellite hurricane tracker is constantly evolving, and guys, it’s pretty exciting stuff! NOAA is always investing in new satellite technology and improved forecasting models to provide even more accurate and timely information. Future advancements are likely to include higher-resolution imagery, more sophisticated sensors capable of detecting subtle atmospheric changes, and artificial intelligence to help process the massive amounts of data even faster. We’re also seeing a push towards better integration of different data sources, combining satellite observations with aircraft reconnaissance, buoys, and ground-based radar for an even more complete picture of a storm. The goal is to reduce the uncertainty in hurricane forecasts, particularly regarding intensity changes and rapid track shifts. Imagine satellites that can peer deeper into the storm’s core, providing real-time wind speed measurements or even predicting rapid intensification with greater confidence. This continuous innovation is vital because as our coastlines become more populated, the stakes for accurate hurricane forecasting only get higher. The NOAA satellite hurricane tracker of tomorrow will undoubtedly be even more powerful, providing us with the critical intelligence needed to protect lives and property. It’s a commitment to using science and technology to enhance our safety and resilience in the face of nature’s most formidable storms. So, while we rely on today’s incredible technology, we can also look forward to even greater capabilities in the future, ensuring we are as prepared as possible for whatever nature throws our way.

In conclusion, the NOAA satellite hurricane tracker is an indispensable tool for understanding, predicting, and preparing for hurricanes. From its sophisticated satellite network to its accessible public resources, it empowers individuals and communities with the information needed to stay safe. By familiarizing yourself with NOAA’s tools and incorporating their data into your preparedness plans, you can navigate hurricane season with greater confidence and security. Stay safe out there, everyone!