IOSC IOS, Hurricane Melissa & Live Stream Updates

N.Austinpetsalive 143 views
IOSC IOS, Hurricane Melissa & Live Stream Updates

iOSC iOS, Hurricane Melissa & Live Stream Updates

Hey everyone, let’s dive into some current events! We’ll be talking about iOSC iOS , the latest developments surrounding Hurricane Melissa , and some exciting live stream updates . It’s a busy time, so grab your favorite drink, settle in, and let’s get started. This article is your one-stop shop for staying informed, so you’re in the right place, guys!

iOSC iOS: What’s New and Why It Matters

So, first up, let’s chat about iOSC iOS . For those of you who might be scratching your heads, iOSC (likely referring to a specific iOS platform or application) is always evolving, and it’s essential to stay updated on the latest features, bug fixes, and security enhancements. This part of the discussion is crucial because it often reflects broader trends in the mobile operating system landscape and the user experience for those involved. Think of it like this: your iPhone or iPad is constantly getting smarter and more secure, and iOSC is a key player in making that happen, and the updates are important because it means better performance and also improved stability.

The constant updates provided within iOSC are essential, and they often include performance improvements, which translate to faster app loading times, smoother animations, and overall a more responsive feel when you are navigating the system. The updates can also bring critical bug fixes that can address glitches, crashes, or other annoying issues that can impact your experience. But even more important is the improvements to the security provided to protect your device from potential threats, which is a major concern these days. Also, let’s not forget the cool new features that iOSC brings! These can range from minor tweaks to major overhauls, depending on the updates released. The iOSC developers regularly release updates, so you always stay up to date and can take advantage of the newest tools.

Keeping your iOSC up-to-date is more important than just getting new features; it is also about keeping your device secure from all sorts of malicious attacks. Cyber threats evolve all the time, and the latest iOSC updates are created to fix known vulnerabilities and give you a safer online experience. These updates are especially crucial if you handle sensitive information like banking details or personal data on your device. So, keeping your iOSC updated is essentially your first line of defense against cyber threats and helps you avoid getting your information stolen. The iOSC teams also concentrate on refining the user interface and improving the user experience, which is important. The updates often introduce a redesigned layout, simpler navigation, or new accessibility options to make your device easier to use.

In addition to these enhancements, iOSC updates are made to provide you with the latest compatibility with new apps and accessories. This ensures that you can take advantage of the latest features and accessories available in the market. As an example, the latest iOSC update could offer better integration with the newest headphones or smart home devices. Another great thing about these updates is that they often involve performance optimizations that extend the battery life of your device. These tweaks can make a big difference in terms of how long your device can last between charges, so it’s a huge benefit that you will enjoy. By consistently updating your iOSC, you’re investing in your device’s long-term health, security, and usability. So, make it a habit to regularly check for updates and stay current with the latest releases to enjoy the best possible experience and have complete security.

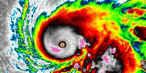
Hurricane Melissa: Tracking the Storm and Its Impact

Next, let’s talk about Hurricane Melissa . When we talk about hurricanes, we’re talking about incredibly powerful storms that can wreak havoc. Tracking and understanding these storms is essential, and with Hurricane Melissa , we’re dealing with a serious weather event that could impact various regions. So, let’s dive deep into the current status, and some possible effects, and how you can get the best information. The real-time tracking of Hurricane Melissa is crucial for providing information on the location, intensity, and direction of the storm. Tracking is usually done with sophisticated technology, including satellite imagery, weather radar, and surface observations. Also, it allows the experts to gather data and create accurate models of the storm. Accurate models of the storm, which helps them predict the path and intensity of the storm. This information is a major factor in enabling authorities to issue timely warnings, alert the public, and coordinate rescue efforts. You can often see the current status of the hurricane on different weather websites, news channels, or through mobile apps.

Experts use several categories to measure a hurricane’s intensity, such as the Saffir-Simpson Hurricane Wind Scale. The intensity of a hurricane is based on the maximum sustained wind speeds, and is organized into five categories. Category 1 is the weakest, while Category 5 is the most devastating. Tracking these different levels allows people to understand the potential of a hurricane’s impact and the necessary precautions that need to be taken. Hurricane Melissa’s predicted path is determined by analyzing several factors, including current wind patterns, ocean temperatures, and atmospheric conditions. It’s difficult to predict a hurricane’s path with perfect accuracy, so weather experts use different models to create the best path predictions. These predictions usually come with a degree of uncertainty, meaning the predicted path is not a perfect line, but a range of potential paths the storm could take. These predictions are constantly updated as the storm evolves, so it’s crucial to stay up to date with the latest information from reliable sources.

The potential impacts of Hurricane Melissa can be quite serious, depending on the storm’s path and intensity. They could include high winds, heavy rainfall, and potential flooding, which can cause serious damage to homes, infrastructure, and the environment. High winds can cause damage to buildings, toppling trees, and causing power outages. Heavy rainfall can cause severe flooding, making roads impassable and damaging property. Storm surges, which can cause coastal flooding, are especially dangerous. These surges can push the ocean inland, which causes widespread destruction. When preparing, make sure to follow the advice of local authorities, and take all the necessary safety precautions.

Live Stream Updates: Staying Connected in Real-Time

Now, let’s shift gears to talk about live stream updates . It’s a great way to stay connected in real-time. Whether it’s news, events, or entertainment, live streams are becoming a huge thing. So, let’s explore this topic and what you can expect. From news coverage to music concerts, the possibilities are endless. Live streaming has expanded the way we consume content, allowing people to engage in real-time. This is about staying informed and entertained, and also staying connected to the world. A live stream usually involves a real-time broadcast of video and audio content, often with interactive elements such as chats and comments. These streams are usually available on different platforms like YouTube, Twitch, Facebook Live, and many more. The technology behind live streaming includes video encoders, streaming servers, and content delivery networks (CDNs) to make sure the content is delivered to a wide audience with minimal delay. In simple terms, live streaming brings content to you as it happens, allowing for a much more immersive experience than traditional broadcasts. The live stream ecosystem has developed to include various genres and niches.

You can often find news updates, sports events, gaming sessions, music concerts, and educational content. Also, there are live streams dedicated to discussions, Q&A sessions, and behind-the-scenes content. The range of options allows you to find content that matches your interests and preferences, which is really great. The importance of the live stream updates is that they offer several advantages over traditional broadcasts. Interactivity is a major benefit; live streams usually allow viewers to interact with the content creators and other viewers. This interaction provides a sense of community, and lets the viewers engage with the content in a more personal way. The real-time aspect of live streaming is critical. Viewers can experience events and content as they happen, which gives the feeling of presence and immediacy. These live streams are often a great way to get updates or breaking news, offering instant access to events as they unfold.

To make sure you get the most out of live streaming, there are some best practices that you can follow. First, make sure you have a stable internet connection. Because live streams consume a lot of data, make sure your internet connection is fast enough to make sure there are no interruptions. Make sure to choose a reliable streaming platform. Different platforms offer different features, and have different communities. Experiment with various platforms to find the best one for you. When you are watching, take advantage of the interactive features. Participate in chats, ask questions, and engage with other viewers to enhance your experience. Stay updated by following your favorite streamers and content creators on social media and other platforms. This will help you stay informed about their upcoming schedules, and when the stream will go live. If you do these things, you will be able to enjoy live streams to their fullest extent. So, whether you are trying to catch breaking news, watch your favorite gamers, or even learn something new, live streaming offers endless possibilities for connection, entertainment, and information.

Let me know if you want me to write more about any of these topics. Stay safe, and enjoy the stream of information!