IOS Updates, Hurricane Melissa & Tech Insights

N.Austinpetsalive 57 views
IOS Updates, Hurricane Melissa & Tech Insights

iOS Updates, Hurricane Melissa & Tech Insights

Hey everyone! Let’s dive into some interesting topics. We’re going to cover iOS updates , then swing over to discuss the technical aspects of CSC (Carrier Services Code) and CSCWSPNSSSC . Plus, we’ll touch on the impact of Hurricane Melissa . Buckle up, it’s going to be a ride!

Decoding iOS Updates: What’s New and Why You Should Care

Alright, first things first, iOS updates . These are super important, guys. Think of them like regular check-ups for your iPhone or iPad. They’re not just about adding new features that make your phone shinier; they’re also about keeping your device safe and running smoothly. So, when you see that little notification popping up, it’s usually a good idea to pay attention. Let’s break down why these updates are so crucial.

First off, security . Apple is constantly working behind the scenes to patch up any vulnerabilities in the iOS system. Hackers are always trying to find ways to exploit weaknesses, so these updates often include fixes that protect your personal information, like your photos, contacts, and financial details. Ignoring updates can leave you vulnerable to these threats. Imagine not updating the locks on your front door – not a good idea, right? Same concept here. Regular iOS updates are your digital security guards, keeping the bad guys out. Don’t be that person who skips the update and then wonders why their phone got hacked!

Next, performance improvements . iOS updates aren’t just about security; they often make your device faster and more efficient. Apple is constantly optimizing the code to improve battery life, speed up app loading times, and make the overall user experience smoother. This is especially noticeable on older devices, where these updates can breathe new life into your phone or tablet. Think about it: a sluggish phone is frustrating. But a phone that’s running at its best? That’s a phone you’ll actually enjoy using. These updates help achieve that, keeping your device feeling fresh and responsive.

Then there’s the addition of new features . Apple loves to add cool new stuff with each update. Whether it’s a new emoji, a handy new feature in the camera app, or a completely revamped user interface, these updates keep things interesting. They enhance your daily usage. This helps you do more with your device. Each new version brings improvements that make your iPhone or iPad even more powerful and user-friendly. It is like getting a brand-new toy that you are still familiar with. This keeps the experience exciting and keeps you up-to-date with the latest tech advancements.

Finally, compatibility . As developers update their apps, they often rely on the latest iOS features. This is to ensure that their apps run smoothly and take advantage of all the latest hardware capabilities. Keeping your iOS up to date helps you maintain compatibility with all the apps you use every day. Avoiding these updates could mean your favorite apps don’t work, which would be a huge bummer. By updating to the latest version of iOS, you’re guaranteeing a seamless and optimized experience with the apps and services you depend on. If you want everything to keep working as it should, always stay updated!

Demystifying CSC & CSCWSPNSSSC: The Tech Jargon Explained

Okay, time to get a little technical. Let’s talk about CSC (Carrier Services Code) and CSCWSPNSSSC . I know, it sounds like alphabet soup, but trust me, it’s not as complicated as it seems. These codes are essential for understanding how your iPhone connects to your mobile carrier and works in different regions. So, let’s break it down.

CSC, or Carrier Services Code , is a code that identifies the mobile carrier and the region your iPhone is configured for. Think of it as a digital passport for your phone. When you put your SIM card in, your iPhone reads the CSC code to configure settings specific to your carrier. This includes things like network settings, voicemail configurations, and sometimes even the specific features available to you. Each carrier and region have their own unique CSC. This ensures that your device connects seamlessly to the carrier’s network and provides the best possible service. If you’ve ever wondered why your phone’s voicemail setup looks different from your friend’s, it’s often because of the CSC code.

Now, about CSCWSPNSSSC . This is a specific type of CSC used in certain regions. It can indicate a variety of things, like specific carrier branding or features enabled by your carrier. It might also include information about the software version and customizations made by the carrier. This level of customization allows carriers to tailor the iPhone experience for their customers. This is to give them unique services or features. Sometimes, these CSC codes can influence the availability of certain features. This could include things like VoLTE (Voice over LTE) or Wi-Fi calling. This will vary depending on your carrier and location. This ensures you get the most out of your network coverage. Understanding CSC codes gives you a glimpse into the behind-the-scenes workings of your iPhone. It also offers insights into how it’s configured for your specific region and carrier. They ensure your device is perfectly optimized for the best possible network experience.

Understanding the importance of these codes can help you troubleshoot issues. For example, you may need to know your CSC if you’re experiencing network problems. Or when you want to use features specific to your carrier. While you might not interact with these codes directly every day, they’re critical. They ensure your iPhone works as it should, providing reliable service and access to the features you need. This might seem complex, but really it is the way to create a smooth and seamless experience.

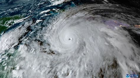
Hurricane Melissa’s Impact: A Quick Look

Let’s switch gears and talk about Hurricane Melissa , a powerful weather event that might have impacted various regions. Natural disasters, like hurricanes, can cause significant disruption. They also impact technological services. Let’s take a quick look at the potential effects of Hurricane Melissa.

One of the most immediate impacts is on communication networks . Hurricanes can damage cell towers, disrupt internet access, and knock out power, making it difficult for people to stay connected. This is critical for emergency services and for individuals needing to communicate with family and friends. This also means that staying connected and obtaining necessary information can become challenging. So, if you’re in an area affected by the hurricane, be sure to have backup communication plans in place. Consider things like using a battery-powered radio or satellite phone, if available. Preparing for a disaster can significantly reduce the impact of the consequences. This is why it is so important.

Another significant impact is on data centers and infrastructure . Data centers, which house critical servers and data, are often located near areas at risk of hurricanes. Power outages, flooding, and physical damage to these facilities can lead to data loss. This also disrupts essential services. This includes online banking, healthcare records, and other important data. Companies and governments need to ensure that their data is protected. They need to have disaster recovery plans that can ensure continuity. These plans are there to mitigate potential data loss and service interruptions. Making sure you can retrieve data after the hurricane is key.

Furthermore, the aftermath of a hurricane can trigger other problems. It can affect the tech industry. For example, it can cause problems with supply chains. Damage to transportation routes and manufacturing facilities can delay the production and distribution of tech products. This can also drive up prices and affect availability. This can be problematic for both businesses and consumers. Making sure you have the goods you need, when you need them, is an important part of the recovery process.

Even though the hurricane can cause a lot of problems, there are ways to prepare for this type of event. Staying informed and preparing for the worst, are important. Knowing what you are up against can significantly reduce any long-term effects. This is the case for most natural disasters.

Conclusion: Staying Informed and Prepared

So there you have it, guys! We’ve covered iOS updates , the techy side of CSC and CSCWSPNSSSC , and the potential impact of Hurricane Melissa . Remember, keeping your iOS updated is super important for security, performance, and new features. Understanding what those tech codes mean helps you know how your iPhone works. Be aware of the potential impacts of natural disasters. Stay informed, stay safe, and keep those devices updated!