Hurricane Tracker Maps: Real-Time Storm Tracking
Hurricane Tracker Maps: Your Guide to Real-Time Storm Tracking
Hey guys, let’s talk about something super important, especially when hurricane season rolls around: hurricane tracker maps . These aren’t just pretty graphics; they’re your frontline defense, your information hub, and frankly, your best friend when a storm is brewing. Understanding and using these maps effectively can be the difference between being caught off guard and being prepared. We’re talking about real-time storm tracking here, folks, which means up-to-the-minute data that can help you make critical decisions for your safety and the safety of your loved ones. The sheer power of a hurricane is awe-inspiring, but it’s also incredibly destructive. That’s why having access to reliable, up-to-date information through these tracker maps is absolutely crucial. Think of it as your digital crystal ball, but instead of magic, it’s powered by sophisticated meteorological data, satellites, and brave souls on the ground. We’ll dive deep into what makes these maps tick, where you can find the best ones, and how to interpret the information they provide. So, whether you live in a coastal area prone to hurricanes or you’re just curious about these massive weather phenomena, stick around. We’re about to unlock the secrets of hurricane tracker maps and make sure you’re storm-ready.
Table of Contents
- Understanding the Anatomy of a Hurricane Tracker Map
- Where to Find Reliable Hurricane Tracker Maps
- How to Interpret and Use Hurricane Tracker Maps Effectively
- The Technology Behind the Scenery: How Storms Are Tracked
- Preparing Your Household with Hurricane Tracker Map Insights
- The Future of Hurricane Tracking: AI and Beyond
Understanding the Anatomy of a Hurricane Tracker Map
Alright, so you’ve pulled up a hurricane tracker map, and maybe it looks like a complex bunch of lines, colors, and symbols. Don’t freak out! Let’s break down the essential elements you’ll find on these real-time storm tracking tools. The most obvious thing is the storm itself, usually depicted as a swirling mass. This is often accompanied by a cone of uncertainty . Now, this cone is super important, guys. It’s not the path the hurricane will take, but rather the area where the center of the storm is likely to track over the next few days. The wider the cone gets, the more uncertain the forecast becomes. So, the further out the forecast, the bigger the cone. It’s essential to understand that impacts like heavy rain, strong winds, and storm surge can extend hundreds of miles outside this cone. Next up, you’ll see wind speed probabilities and wind speed bands . These show you areas where certain wind speeds are expected. Typically, you’ll see categories like 34 knots (tropical storm force), 64 knots (hurricane force), and so on. Knowing these bands helps you understand the potential for damage in your specific location. Another key piece of information is the storm’s current location and intensity . This is usually marked with a symbol showing the storm’s center and often includes its current category (e.g., Category 1, 2, 3, etc.) based on its sustained wind speeds. Forecast tracks are lines showing where meteorologists predict the storm’s center will go over the next 48, 72, 96, and 120 hours. These are often multiple lines representing different models, giving you a broader picture of potential paths. You’ll also find information on storm surge , which is a rise in sea level caused by the storm’s winds pushing water towards the shore. This is often one of the deadliest aspects of a hurricane, so paying attention to surge advisories is critical. Finally, look for rainfall predictions and watches/warnings . Watches mean conditions are possible in your area, while warnings mean they are expected or occurring. These hurricane tracker maps are dynamic; they update constantly, so always make sure you’re looking at the latest information available. Understanding these components empowers you to translate the data into actionable preparedness steps.
Where to Find Reliable Hurricane Tracker Maps
When a hurricane is on the horizon, you need the best information available, and that means knowing where to find reliable hurricane tracker maps . Trust me, guys, not all maps are created equal, and in a high-stakes situation, you want the most accurate and up-to-date data. The undisputed king of hurricane tracking in the United States is the National Hurricane Center (NHC) . Their website (nhc.noaa.gov) is the official source for all hurricane and tropical storm information for the Atlantic and Eastern Pacific basins. They provide graphical tropical weather outlooks, track forecasts, wind speed probabilities, and crucial advisories. Seriously, bookmark this site! For a slightly different visual presentation and often more user-friendly interfaces, many reputable news organizations and weather services offer their own versions of real-time storm tracking maps. Think of major players like The Weather Channel , AccuWeather , and CNN Weather . These sites often pull data directly from the NHC but present it in ways that might be easier for the average person to digest, sometimes with additional layers of information like interactive radar and local impact predictions. International agencies also provide valuable tracking. For instance, the Canadian Hurricane Centre tracks storms affecting Canada, and various meteorological agencies in the Caribbean and Mexico offer localized tracking. If you’re looking for more sophisticated, model-driven data (though this can be a bit more technical), sites like TropicalTidbits.com and Windy.com offer a wealth of information, including multiple forecast models that meteorologists use. Windy.com, in particular, is fantastic for visualizing wind, rain, and pressure systems from various global models. It’s important to remember that while these various sources are great, they all ultimately rely on the foundational data provided by official meteorological organizations like the NHC. So, while exploring different map styles can be helpful, always cross-reference with the primary source, especially for official watches and warnings. Having a few go-to sites bookmarked ensures you can quickly access critical information from multiple perspectives, giving you the most comprehensive understanding of a storm’s potential threat. Remember, the goal is to stay informed from credible sources to make the best decisions for your safety during hurricane season.
How to Interpret and Use Hurricane Tracker Maps Effectively
Okay, so you’ve got your reliable hurricane tracker map up and running. Awesome! But how do you actually use this information to keep yourself and your family safe? This is where understanding the data really pays off. First off, always prioritize the official watches and warnings issued by the National Hurricane Center or your local emergency management agencies. These are direct calls to action. If there’s a hurricane warning for your area, it means hurricane conditions are expected . This is not the time to be looking at the pretty map; it’s time to be executing your evacuation plan or securing your home. Use the cone of uncertainty as a guide for potential impact, not a guarantee. Remember, the storm’s center could track anywhere within that cone, and strong winds, rain, and surge can extend well beyond it. So, if you’re on the edge of the cone, you must prepare for potential impacts. Pay close attention to the forecast tracks and the different lines representing various computer models. If most models are converging on a specific path, that’s a higher confidence forecast. If the models are diverging wildly, it indicates greater uncertainty, meaning you need to prepare for a wider range of possibilities. Look at the wind speed bands . If hurricane-force winds are forecast to reach your area within the next 24-48 hours, you need to be taking serious action – boarding up windows, securing outdoor items, and potentially evacuating if advised. Don’t forget storm surge ! This is often the most dangerous element. Maps showing predicted storm surge inundation levels are critical for coastal residents. If you live in a storm surge evacuation zone, heed those orders immediately. Rainfall is another major threat, especially inland, where flash flooding can occur far from the coast. Check predicted rainfall totals and be prepared for potential flooding. It’s also vital to understand the timing . Tracker maps show projected arrival times for different conditions. Knowing when tropical storm-force winds or hurricane-force winds are expected allows you to plan your preparations and potential evacuations effectively. Finally, remember that these maps are tools . They provide valuable data, but they don’t replace common sense or official guidance. Stay informed, stay prepared, and stay safe, guys. Use these real-time storm tracking resources wisely to navigate hurricane season with confidence.
The Technology Behind the Scenery: How Storms Are Tracked
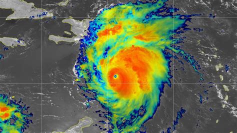
Ever wondered how those incredible hurricane tracker maps get their data? It’s a fascinating blend of advanced technology and dedicated human effort. At the core of real-time storm tracking are weather satellites . These orbiting marvels, like GOES (Geostationary Operational Environmental Satellite) and JPSS (Joint Polar Satellite System), provide a constant stream of visual and infrared imagery. They allow meteorologists to see the ‘big picture’ – the size, shape, and overall structure of developing tropical systems, even over vast, data-sparse oceans. But satellites only give us a top-down view. To understand what’s happening inside the storm, we rely heavily on reconnaissance aircraft , famously known as ‘hurricane hunters.’ These brave pilots fly directly into the eye of the storm, deploying instruments called ‘dropsondes.’ These sondes fall through the storm, transmitting crucial data on temperature, humidity, pressure, and wind speed directly to the ground. This in-situ data is invaluable for determining a storm’s intensity and structure accurately. Weather radar is another key player, especially once a hurricane nears land. Ground-based radar systems detect precipitation, wind speed, and direction within the storm, helping to refine track forecasts and assess immediate threats like heavy rain bands and eyewall strength. Doppler radar capabilities are particularly important, as they can detect wind patterns within the storm. Beyond direct observation, a complex network of computer models plays a massive role. These are sophisticated mathematical simulations run on supercomputers. Models like the GFS (Global Forecast System) and the European ECMWF (European Centre for Medium-Range Weather Forecasts) take current atmospheric conditions and project how they will evolve. Meteorologists run multiple models because no single model is perfect. Comparing the outputs of various models helps forecasters identify consensus paths and areas of uncertainty, which are then visualized on hurricane tracker maps . Finally, ocean buoys and surface weather stations scattered across the oceans and coastlines provide real-time surface observations of wind, pressure, and sea temperature, feeding crucial data into both the observation network and the computer models. It’s this synergistic combination of satellite imagery, aerial reconnaissance, radar, oceanographic data, and powerful computer modeling that creates the detailed, dynamic hurricane tracker maps we rely on during hurricane season. It’s a testament to scientific ingenuity and collaborative effort.
Preparing Your Household with Hurricane Tracker Map Insights
Knowing when and where a hurricane might hit is half the battle, guys. The other half is actually using that knowledge to prepare your household. Hurricane tracker maps are your intel, but your preparedness plan is your execution. Once you see a storm developing and putting itself on the map, start by assessing your risk based on the projected track and potential impacts like wind, rain, and storm surge. If your area is highlighted within the cone of uncertainty or forecast track, it’s time to get serious. First, assemble a disaster kit . This should include essentials like water (one gallon per person per day for several days), non-perishable food, a flashlight with extra batteries, a first-aid kit, medications, a battery-powered or hand-crank radio, a multi-tool, personal hygiene items, copies of important documents, and cash. Think about what you’d need if the power was out for days or weeks. Second, secure your home . This means bringing in any loose outdoor items – patio furniture, trash cans, decorations – anything that could become a projectile in high winds. Boarding up windows and doors with plywood is a crucial step if you’re not evacuating. Check your storm shutters if you have them. Third, plan your communication . How will you contact family members if cell service is down? Consider establishing an out-of-state contact person everyone can check in with. Ensure your phone is fully charged before the storm hits, and consider a portable power bank. Fourth, know your evacuation route and zone . Many coastal areas have designated storm surge evacuation zones. Use your hurricane tracker map to understand the timing of potential evacuations and have a clear plan for where you will go – a friend’s house inland, a hotel, or a designated public shelter. Have a ‘go-bag’ ready with essentials for a quick departure. Fifth, stay informed . Don’t just look at the map once. Monitor updates from the NHC and local emergency officials regularly. Information changes rapidly, and you need to be ready to adapt your plan. Finally, consider your pets . Make sure you have a plan for them, including food, water, and a safe place to stay. Not all shelters accept pets, so plan accordingly. By actively using the information from real-time storm tracking maps and translating it into concrete preparedness actions, you significantly increase your household’s resilience and safety when facing a hurricane. Stay safe out there!
The Future of Hurricane Tracking: AI and Beyond
As we wrap up our deep dive into hurricane tracker maps , it’s exciting to think about where this technology is headed. The future of real-time storm tracking is looking incredibly sophisticated, with advancements in artificial intelligence (AI) and machine learning poised to revolutionize how we predict and monitor hurricanes. Currently, forecasters rely on a suite of complex computer models, each with its strengths and weaknesses. AI is starting to play a significant role in improving these models and even creating new ones. Machine learning algorithms can analyze vast amounts of historical weather data, satellite imagery, and observational data far more efficiently than humans, identifying subtle patterns and correlations that might be missed. This could lead to more accurate intensity forecasts – predicting not just where a storm will go, but how strong it will become, which is notoriously difficult. AI can also help in rapidly analyzing incoming data during a storm, flagging critical changes and potential threats much faster. Imagine AI systems that can automatically process satellite and radar data to provide near-instantaneous updates on storm structure and intensification trends, significantly speeding up the dissemination of vital information. Furthermore, the integration of data from new sources is constantly evolving. Swarms of drones, advanced ocean sensors, and even commercial aircraft equipped with specialized sensors are providing richer, more detailed data from within and around storms. This big data influx, when coupled with AI, can create a much more comprehensive and accurate picture of the storm environment. The development of ensemble forecasting – running dozens or even hundreds of slightly varied model simulations – is already improving our understanding of forecast uncertainty. AI can help refine these ensembles, potentially leading to even better-defined cones of uncertainty and more reliable probability maps. While human meteorologists will always be essential for interpreting complex situations and communicating risk, these technological advancements promise to provide them with even more powerful tools. The goal is clearer, more accurate, and faster forecasts, ultimately leading to better-informed decisions and enhanced safety for communities in the path of these powerful storms. The evolution of hurricane tracker maps is a testament to our ongoing quest to understand and mitigate the impact of nature’s most formidable weather events.