Hurricane Helene: Tallahassee Update - Live Coverage

N.Austinpetsalive 78 views
Hurricane Helene: Tallahassee Update - Live Coverage

Hurricane Helene: Tallahassee Update - Live Coverage

Hey there, folks! Ready for a deep dive into the latest on Hurricane Helene and its potential impact on Tallahassee? We’re bringing you live updates , the inside scoop , and everything you need to know to stay safe and informed. So, buckle up, grab a coffee (or maybe a hurricane-themed cocktail – no judgment!), and let’s navigate this together. We’ll be covering everything from the hurricane’s path and wind speeds to evacuation information and safety tips . Our goal is to make sure you’re well-prepared and aware of what’s happening every step of the way. Let’s get started!

Understanding Hurricane Helene and Its Potential Impact

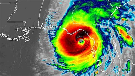
Alright, let’s get down to brass tacks: what’s this hurricane all about, and what can Tallahassee expect? Hurricane Helene is a serious weather system, and understanding its potential impact is the first step in staying safe. We’ll be keeping a close eye on the hurricane’s path , which is crucial for predicting where the storm will hit hardest. The wind speeds are another key factor. High winds can cause serious damage, from downed trees and power lines to structural damage to buildings. We’ll be providing regular updates on wind speeds, so you know what to expect.

Now, let’s talk about the impact on Tallahassee specifically. Depending on the hurricane’s path, we could see a range of effects, from heavy rain and flooding to strong winds and potential power outages. The extent of the damage will depend on several factors, including the storm’s intensity and how close it comes to the city. We’ll be monitoring the latest updates from the National Hurricane Center (NHC) and other weather agencies to give you the most accurate picture possible. We’ll also be focusing on evacuation orders, if any, and other safety measures to ensure your well-being. Keeping you informed about the hurricane’s damage potential is our priority, so you can make informed decisions. We’ll share news updates as they become available.

Wind Speeds and Potential Damage

Wind speeds are a critical aspect of any hurricane, and Hurricane Helene is no exception. As the storm approaches, we’ll be providing live updates on the wind speeds , which can range from tropical storm force to hurricane force, depending on the storm’s intensity. Strong winds can cause all sorts of damage, from knocking down trees and power lines to damaging roofs and windows. We’ll keep a close eye on the wind forecasts and let you know what to expect.

The potential for damage from high winds is significant. Trees can fall, blocking roads and causing power outages. Debris can become airborne, causing further damage and posing a danger to people. Even seemingly sturdy structures can suffer damage in high winds. We’ll be sharing information on how to prepare for high winds, including securing loose objects and knowing how to protect your home. It’s crucial to understand the risks and take appropriate precautions to minimize the potential for damage . Stay tuned for our live stream for the latest forecasts and news .

Rainfall and Flood Risk

In addition to high winds, rainfall is another major concern with Hurricane Helene . Heavy rain can lead to flooding, which can be extremely dangerous. Low-lying areas are particularly vulnerable to flooding, and even areas that don’t typically flood could be at risk. We’ll be providing latest updates on rainfall projections, so you know what to expect. This includes the expected amount of rainfall, the areas most likely to be affected, and any flood warnings that are in effect. Understanding the flood risk is crucial for your safety. Know the difference between a flood watch and a flood warning and be prepared to take action if necessary.

We’ll also share information on how to prepare for potential flooding, including clearing drainage systems, moving valuables to higher ground, and knowing your evacuation routes. Flooding can cause significant damage , including damage to homes, businesses, and infrastructure. It can also pose a serious risk to life. It’s important to take the preparation steps seriously and stay informed about the hurricane’s path and the potential for flooding in your area. Our live stream will provide real-time updates on rainfall and flood risks, so you can stay ahead of the storm.

Current Status and Latest Updates

Alright, let’s dive into the current status of Hurricane Helene and bring you the latest updates . Right now, the storm’s intensity, wind speeds , and location are being closely monitored by meteorologists and weather agencies. We’ll be providing you with the most up-to-date information, including any changes in the hurricane’s path or intensity.

We’ll be tracking the hurricane’s path , using the latest models and forecasts to predict where the storm is headed. This is critical for understanding which areas are most at risk and for issuing evacuation orders if necessary. Our team will keep a close eye on the wind speeds and provide live updates as they change. It’s important to be aware of the potential for high winds and the damage they can cause. We’ll also be providing news regarding the potential for heavy rainfall and the risk of flooding. Our live stream will give you real-time updates as they become available.

Tracking the Hurricane’s Path

Tracking the hurricane’s path is a critical part of our coverage. The hurricane’s path determines which areas are most at risk from the storm’s effects. We’ll be using the latest models and forecasts to track the storm’s movements and predict where it’s headed. This information will be updated regularly, so you can stay informed about the hurricane’s path . Any changes to the path could impact the impact on Tallahassee, so it’s important to stay informed. We’ll provide news and alerts if the hurricane’s path changes.

We’ll show you maps and graphics illustrating the hurricane’s path and the potential areas of impact. We’ll also explain the different forecast models and what they mean. The hurricane’s path is not always certain, so we’ll present a range of possible scenarios and their potential effects. This will help you understand the risks and make informed decisions. We’ll also provide evacuation information if the hurricane’s path warrants it. Stay tuned to our live stream for the most current information.

Wind Speed Updates and Forecast

Wind speed updates are a crucial part of our coverage. As Hurricane Helene approaches, we’ll be providing live updates on the wind speeds . This includes both the current wind speeds and the forecast for the next few hours and days. We’ll keep you informed about the potential for high winds and the damage they can cause. High wind speeds are a primary concern with hurricanes, and the severity of wind speeds determines the level of preparations needed.

We’ll break down the wind speeds into categories and explain what each category means in terms of potential damage . We’ll also provide information on how to prepare for high winds, including securing loose objects, knowing how to protect your home, and staying indoors during the storm. Our team will also be monitoring latest updates from the National Hurricane Center. Our live stream will give you real-time wind speed updates and news on related weather alerts. Understanding the wind speeds and their potential impact is essential for your safety.

Rainfall Projections and Flood Warnings

Rainfall projections are another important part of our coverage. We’ll be providing latest updates on the expected rainfall, including the amount of rain, the areas most likely to be affected, and any flood warnings that are in effect. Heavy rainfall can lead to flooding, which can be extremely dangerous. Low-lying areas are particularly vulnerable to flooding, and even areas that don’t typically flood could be at risk. We’ll provide news and alerts about flood warnings and explain what they mean and what actions you should take.

We’ll show you maps and graphics illustrating the expected rainfall and the areas at risk of flooding. We’ll also provide information on how to prepare for potential flooding, including clearing drainage systems, moving valuables to higher ground, and knowing your evacuation routes. The potential for flooding is a serious concern, so it’s important to stay informed about the rainfall projections . We’ll also provide preparation information related to potential flooding during the storm. Our live stream will provide real-time updates on rainfall projections and flood warnings , so you can stay ahead of the storm.

Preparation and Safety Measures

Alright, folks, now let’s talk about preparation and safety measures . It’s crucial to be ready before Hurricane Helene hits. Proper preparation can make a huge difference in your safety and well-being. We’ll cover everything from evacuation plans to securing your home and staying safe during the storm. This preparation includes creating an emergency kit, securing your home, and knowing what to do if you need to evacuate . It’s important to understand the potential risks and take appropriate precautions to minimize the potential for damage . The better prepared you are, the safer you’ll be.

Creating an Emergency Kit

Creating an emergency kit is one of the most important preparation steps you can take. Your kit should include essential items you’ll need if you lose power or have to evacuate . Here’s a checklist to get you started: water (at least one gallon per person per day), non-perishable food (enough for several days), a first-aid kit, a flashlight, batteries, a radio (battery-powered or hand-crank), medications, and any personal hygiene items you might need. Don’t forget important documents, such as insurance policies and identification. Preparation of this kind is critical to your survival during and after the storm. We’ll share news and tips for emergency kit essentials. Having a well-stocked kit can make a huge difference during and after the storm.

Securing Your Home and Property

Securing your home and property is another critical aspect of preparation . Before the storm hits, take steps to protect your home from wind and water damage . Trim trees and shrubs that could fall on your house. Secure loose objects, such as patio furniture and garbage cans. Board up windows or cover them with storm shutters. Bring any outdoor items inside, like grills, toys, and decorations. Consider adding safety measures like reinforcing doors and windows. Inspect and clean rain gutters and downspouts. These preparation steps can help prevent damage to your property and make it more likely to withstand the storm. We’ll share safety tips to protect your home.

Understanding Evacuation Orders and Routes

Understanding evacuation orders and routes is vital. If local authorities issue an evacuation order, it’s important to heed it immediately. Know your evacuation routes and the locations of shelters. Have a plan for where you will go and how you will get there. Make sure you have a full tank of gas in your car. Evacuation orders are issued to protect your safety. If you are ordered to evacuate , do so promptly. Preparation includes knowing your evacuation routes and the locations of shelters. We’ll be sharing news and alerts regarding evacuation orders. Staying informed about the hurricane’s path and the potential for impact will help you make the best decision for your safety .

Safety During the Storm

Safety during the storm is paramount. Once the storm hits, stay indoors and away from windows and doors. Monitor the latest updates from local authorities and the National Weather Service. Do not go outside until the storm has completely passed and authorities have given the all-clear. Be aware of downed power lines and report them immediately. Preparation beforehand includes knowing these safety measures. Our live stream and news updates will provide real-time safety information and guidance. Safety during the storm requires quick thinking and responsible decision-making to minimize the risks. Be sure to follow these safety tips.

Live Stream and Updates

We’re committed to keeping you informed every step of the way. Our live stream will provide real-time updates on Hurricane Helene as it approaches and impacts Tallahassee. You can expect up-to-the-minute information on the hurricane’s path , wind speeds , rainfall projections , evacuation orders, and safety measures. We’ll be bringing you the latest updates from trusted sources, including the National Hurricane Center (NHC), local authorities, and our team of meteorologists and reporters.

How to Stay Informed

How to stay informed during Hurricane Helene is vital. Follow our live stream for the latest information. Check our website and social media channels regularly for updates. Tune in to local news stations for breaking news and safety alerts. Sign up for emergency alerts from your local government. Make sure you have a way to receive information even if the power goes out, such as a battery-powered radio or a cell phone with a charged battery. Staying informed is your best defense against the storm. We’ll be providing preparation guidance throughout the storm.

Social Media and Contact Information

We’ll be active on social media, providing updates, answering your questions, and sharing safety tips. Follow us on [Insert Social Media Handles Here]. You can also contact us with questions or concerns. Stay in touch and let us know what’s going on in your area. We’re here to help you stay safe and informed. Preparation requires communication. News and latest updates will be shared through our social media channels.

Frequently Asked Questions

Here are some of the frequently asked questions about Hurricane Helene and its potential impact on Tallahassee.

Where can I find the most accurate information about the hurricane?

You can find the most accurate information from trusted sources like the National Hurricane Center (NHC), the National Weather Service (NWS), and local news outlets. Our live stream will also provide up-to-date and accurate information. We’ll be monitoring these sources and sharing the latest updates with you.

What should I do if I am under an evacuation order?

If you are under an evacuation order, you should evacuate immediately. Follow the evacuation routes designated by local authorities and go to a designated shelter or the home of a friend or family member who lives outside the evacuation zone. Evacuation is a critical safety measure, so take it seriously.

How can I prepare my home for the hurricane?

You can prepare your home by securing loose objects, trimming trees and shrubs, boarding up windows, and bringing outdoor items inside. Make sure you have an emergency kit, and know your evacuation routes. Preparation is key to minimizing damage . Stay tuned for more safety tips.

What should I do if I lose power?

If you lose power, turn off major appliances to prevent a power surge when the electricity is restored. Use flashlights or battery-powered lanterns instead of candles. Keep your refrigerator and freezer doors closed as much as possible to keep food cold. Contact your power company to report the outage. Stay informed with our live stream for the latest updates .

Conclusion: Stay Safe, Tallahassee!

That’s all for now, Tallahassee. We’ll continue to provide live updates on Hurricane Helene as it moves closer. Remember to stay informed, stay prepared, and stay safe. Follow the advice of local authorities, and don’t take any unnecessary risks. We’re all in this together, and we’ll get through it. Thank you for tuning in! For any news , latest updates and safety information, continue to check out our live stream .