Hurricane Dorian Documentary: A Deep Dive

N.Austinpetsalive 87 views
Hurricane Dorian Documentary: A Deep Dive

Hurricane Dorian Documentary: A Deep Dive

Hey guys! Today, we’re diving deep into something that really shook a lot of people – Hurricane Dorian . You know, the one that caused so much devastation, especially in the Bahamas. It was a terrifying event, and honestly, documentaries are a super powerful way to understand the sheer force of nature and the human stories behind it. We’re going to explore what makes a good Hurricane Dorian documentary , what kind of stories they tell, and why watching them can be so important, not just for remembering, but for learning and preparing for the future. Think of it as our virtual storm-chasing session, but from the comfort of our couches, learning from the experiences of those who went through it. We’ll be looking at the science behind such massive storms, the impact on communities, the incredible resilience of people, and the ongoing efforts to rebuild. It’s a heavy topic, for sure, but incredibly important. So grab your popcorn, and let’s get into it!

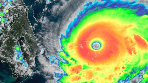
Understanding the Power of Dorian

When we talk about Hurricane Dorian , we’re not just talking about some wind and rain. This was a monster. It reached Category 5 strength, and it slowed down over the Bahamas, meaning those islands got battered for a really, really long time. Imagine being stuck in the eye of the storm for hours, with winds of over 180 miles per hour. It’s almost impossible to comprehend. Documentaries often do a fantastic job of putting you right there, using incredible footage from survivors, aerial shots showing the scale of destruction, and interviews with meteorologists explaining the atmospheric conditions that led to such an intense and prolonged event. They break down complex meteorological phenomena into understandable terms, showing you how warm ocean waters, low wind shear, and other factors can combine to create a perfect storm. You get to see the terrifying beauty of a hurricane from a safe distance, but also understand the scientific underpinnings that make these events so destructive. They often use graphics and animations to illustrate storm surge, eyewall replacement cycles, and the track of the hurricane, helping us visualize the immense forces at play. It’s not just about showing the chaos; it’s about understanding the ‘why’ and ‘how’ behind it. This scientific perspective is crucial for appreciating the sheer power that Dorian unleashed and for informing future preparedness strategies. We learn about the precursors, the conditions that allowed it to strengthen so rapidly, and the unique atmospheric dynamics that made its slow crawl over the Bahamas so catastrophic. It’s a stark reminder that our planet’s weather systems are incredibly powerful and sometimes unpredictable, and understanding them is our first line of defense.

The Human Impact and Stories of Resilience

Beyond the science, the real heart of any Hurricane Dorian documentary lies in the human stories. These films don’t shy away from the devastation – the homes destroyed, the communities uprooted, the lives lost. But what truly stands out is the incredible resilience and spirit of the people affected. You’ll see footage of neighbors helping neighbors, strangers pulling together in the immediate aftermath, and communities starting the long, arduous process of rebuilding. Documentaries often follow families who lost everything, showing their struggle, their grief, but also their unwavering determination to move forward. These personal narratives are what make the event relatable and highlight the profound impact on individual lives. We hear firsthand accounts of harrowing escapes, moments of sheer terror, and the quiet strength found in community support. These stories aren’t just about survival; they’re about hope. They show us that even in the face of unimaginable loss, the human spirit can endure and even thrive. You’ll witness acts of incredible bravery, volunteers working tirelessly, and the psychological toll that such an event takes, but also the profound sense of unity that can emerge. It’s these raw, emotional, and often inspiring accounts that stay with you long after the credits roll, reminding us of our shared humanity and the importance of compassion and support during times of crisis. They often capture the pre-storm anxieties, the terrifying moments during the hurricane, and the challenging, often emotional, journey of recovery that follows. These personal tales serve as powerful testaments to the strength and spirit of individuals and communities facing adversity, offering a beacon of hope and demonstrating the power of human connection.

Challenges of Filming a Hurricane Documentary

Making a Hurricane Dorian documentary is no easy feat, guys. Filming during and immediately after a category 5 hurricane is incredibly dangerous and presents massive logistical challenges. Filmmakers have to balance capturing the raw reality of the situation with the safety of their crew and the respect for the people they are filming. This often means relying on brave local journalists, storm chasers, and, most importantly, footage provided by survivors themselves. Think about the conditions: torrential rain, gale-force winds, limited visibility, and widespread destruction making travel impossible. Getting equipment in and out, maintaining power, and communicating are all immense hurdles. Documentaries that manage to capture authentic footage often do so through incredible planning, strategic partnerships, and sheer determination. They might deploy weather-resistant cameras in advance, work with local crews who are already on the ground, or wait for safe conditions to enter affected areas. The editing process itself is also a huge undertaking, piecing together disparate elements – professional footage, amateur videos, interviews, and archival material – into a cohesive and impactful narrative. It requires sensitivity, journalistic integrity, and a deep understanding of the story they want to tell. The ethical considerations are also paramount: ensuring consent, avoiding exploitation, and accurately representing the experiences of those affected are all critical aspects of creating a responsible and meaningful documentary. It’s a testament to the dedication of these filmmakers and the courage of those who share their stories that we get to witness these powerful accounts.

Rebuilding and Future Preparedness

One of the most crucial aspects that Hurricane Dorian documentaries often highlight is the aftermath – the long road to recovery and the vital lessons learned for future preparedness. After the storm passes, the real work begins. Documentaries showcase the immense scale of the rebuilding efforts, from clearing debris and restoring power to reconstructing homes and infrastructure. They often focus on the economic and social challenges communities face in the long term, such as displacement, mental health support, and the need for sustainable rebuilding practices. It’s not just about putting things back the way they were, but building back better and more resiliently. You’ll see initiatives focused on disaster-resistant construction, improved early warning systems, and community-led resilience plans. These films serve as powerful educational tools, offering valuable insights into disaster management and mitigation strategies. They highlight the importance of robust infrastructure, effective emergency response plans, and the role of government, non-profits, and international aid in supporting recovery. By examining the successes and failures of the recovery process following Dorian, these documentaries provide crucial lessons for other vulnerable regions and for future generations. They underscore the need for proactive planning, community engagement, and investment in climate adaptation to minimize the impact of future extreme weather events. It’s a call to action, urging us all to be better prepared, more informed, and more supportive of those on the front lines of climate change impacts. The focus shifts from immediate survival to long-term sustainability and resilience, emphasizing that recovery is not just about rebuilding structures, but about strengthening communities and ensuring a safer future for everyone. These narratives are vital for informing policy, inspiring action, and fostering a collective understanding of the challenges posed by climate change and extreme weather events.

Why Watch These Documentaries?

So, why should you bother watching a Hurricane Dorian documentary ? For starters, it’s a way to gain a deeper, more human understanding of an event that might have otherwise just been a news headline. These films offer perspective, allowing us to empathize with those who endured the storm and appreciate the challenges they face. They are powerful educational tools, providing insights into meteorology, disaster response, and the impacts of climate change. For many, watching these documentaries can also be a source of inspiration, showcasing the incredible strength and resilience of the human spirit in the face of adversity. It’s a way to honor the victims, support the survivors, and learn valuable lessons that can help us all prepare better for future events. These films connect us to global issues, reminding us that we are part of a larger world facing shared challenges. They foster a sense of community and encourage us to think about how we can contribute to disaster relief and resilience efforts. In a world increasingly affected by extreme weather, understanding these events is not just about curiosity; it’s about awareness, education, and fostering a more resilient and compassionate society. They serve as historical records, ensuring that the experiences of those affected are not forgotten and that the lessons learned are passed on. So, if you’re looking to understand the true impact of Hurricane Dorian beyond the statistics, documentaries offer a profound and moving way to do just that.

Learning from the Past to Secure the Future

Ultimately, the most significant takeaway from any Hurricane Dorian documentary is the vital importance of learning from the past to secure a better future. These films serve as powerful historical records, capturing the raw reality of a devastating storm and the indomitable spirit of those who lived through it. By meticulously documenting the events, the impact, and the recovery efforts, these films provide invaluable insights that can inform future preparedness and response strategies. Meteorologists, disaster management professionals, policymakers, and community leaders can all draw crucial lessons from the successes and shortcomings observed in the aftermath of Dorian. This knowledge is essential for refining early warning systems, improving evacuation protocols, strengthening infrastructure against extreme weather, and developing more effective long-term recovery plans. Furthermore, these documentaries foster a deeper public understanding of the complexities of climate change and the increasing frequency and intensity of extreme weather events. They serve as a compelling call to action, encouraging individuals and communities to engage in proactive measures, advocate for sustainable practices, and support resilience-building initiatives. By confronting the realities of natural disasters through these cinematic lenses, we are better equipped to anticipate, mitigate, and respond to future threats, ensuring the safety and well-being of generations to come. The stories told within these films are not just about remembering a tragic event; they are about empowerment, education, and the collective responsibility we share in building a more resilient world against the growing challenges of our changing climate.