Hurricane Doppler Radar: Track Storms With Live Data

N.Austinpetsalive 55 views
Hurricane Doppler Radar: Track Storms With Live Data

Hurricane Doppler Radar: Track Storms with Live Data

Hey everyone, let’s dive into the fascinating world of hurricane Doppler radar tracking ! When a hurricane starts brewing, knowing where it’s going and how strong it’s getting is super crucial, right? That’s where Doppler radar comes in, acting like our eyes in the sky, giving us real-time insights into these massive weather systems. Guys, this technology isn’t just for meteorologists; it’s a vital tool for anyone living in hurricane-prone areas, helping us prepare and stay safe. We’re talking about understanding wind speeds, rainfall intensity, and the overall path of the storm, all thanks to the incredible advancements in Doppler radar technology. It’s like having a crystal ball, but way more scientific and accurate, helping communities make informed decisions when facing the wrath of Mother Nature.

The Science Behind Doppler Radar

So, what exactly is hurricane Doppler radar tracking , and how does it work its magic? At its core, Doppler radar uses the Doppler effect – a phenomenon you might remember from science class about how the pitch of a siren changes as it moves past you. In meteorology, the radar sends out radio waves that bounce off precipitation particles like rain, hail, and snow within a storm. When these waves return, the radar analyzes the change in frequency. If the particles are moving towards the radar, the frequency increases; if they’re moving away, it decreases. This shift tells us the radial velocity – the speed and direction of the precipitation relative to the radar. This is a game-changer for tracking hurricanes because it allows us to see the intricate wind patterns inside the storm, not just its overall movement. We can visualize the rotation of the eyewall, the intensity of the rainbands, and even detect potential tornadoes forming within the hurricane’s outer bands. It’s this detailed, real-time information that helps forecasters predict the storm’s future path and intensity with much greater accuracy. Think of it as an advanced X-ray for hurricanes, revealing their inner workings and potential threats.

What Can Doppler Radar Show Us About Hurricanes?

When we talk about hurricane Doppler radar tracking , we’re really talking about unlocking a treasure trove of information. First off, it gives us an unparalleled view of wind speed and direction within the storm. This is absolutely critical for understanding how a hurricane is intensifying or weakening. By analyzing the Doppler shifts, meteorologists can map out the strongest winds, often found in the eyewall, and track their movement. This helps in issuing timely and accurate warnings for areas that will experience the most severe conditions. Beyond just wind speed, Doppler radar is fantastic at depicting the intensity and location of rainfall. We can see where the heaviest downpours are occurring, which is vital for predicting flash flooding and storm surge. The radar can differentiate between light showers and torrential rain, painting a vivid picture of the storm’s precipitation structure. Furthermore, the rotational velocity data is key. Seeing the wind speeds in a circular pattern indicates rotation, a hallmark of a hurricane’s structure. Detecting areas of strong rotation, especially in the outer bands, can alert us to the possibility of embedded tornadoes, which are a significant secondary threat associated with landfalling hurricanes. The ability to see these different layers of information – wind, rain, and rotation – simultaneously provides a comprehensive understanding of the hurricane’s dynamics, allowing for more precise forecasting and better-prepared communities. It’s this multi-faceted data that truly empowers us to stay ahead of these powerful storms.

Enhancing Hurricane Preparedness with Live Tracking

So, why is hurricane Doppler radar tracking so darn important for preparedness, you ask? Well, guys, the answer is simple: timely and accurate information saves lives and property. When a hurricane is on the horizon, every minute counts. Live Doppler radar data allows emergency managers and the public to make critical decisions with confidence. For instance, knowing the precise track and speed of a storm enables authorities to issue evacuation orders for the most vulnerable areas well in advance. This isn’t just about getting people out of harm’s way; it’s about giving them enough time to do so safely and efficiently, avoiding the chaos that can ensue from last-minute scrambles. For individuals and families, having access to live radar can help them make informed decisions about securing their homes, stocking up on necessary supplies, or deciding whether to evacuate. Think about it – seeing the storm’s projected path on a radar map can give you a clear idea of whether you’re in the direct line of fire. Moreover, the detailed information about wind intensity and rainfall helps emergency services position resources effectively. They can anticipate where the worst impacts will be and pre-deploy crews and equipment, ensuring a faster and more effective response once the storm hits. This proactive approach, fueled by reliable Doppler radar data, significantly reduces the overall damage and suffering caused by hurricanes. It transforms a chaotic situation into a managed response, giving communities the best possible chance to weather the storm.

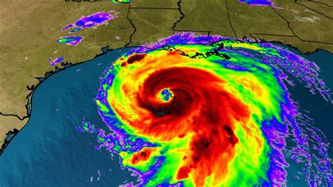
Making Sense of Doppler Radar Maps

Navigating hurricane Doppler radar tracking maps might seem a bit daunting at first, but once you understand the basics, they become incredibly intuitive. The most common display you’ll see is the reflectivity map, which shows the intensity of precipitation. Brighter colors like red and purple typically indicate heavier rainfall or hail, while greens and yellows show lighter precipitation. This helps you visualize where the strongest parts of the storm are located. Then there’s the velocity map, which is where the Doppler magic really happens. On these maps, colors indicate the direction and speed of the winds relative to the radar. Typically, red might show winds blowing away from the radar, and green shows winds blowing towards it. Areas where these colors meet sharply, especially with vibrant hues, can signify areas of intense rotation or strong wind shear, which are important indicators of potential hazards like tornadoes or microbursts. The center of the hurricane, the eye, will often appear as a clear, calm area surrounded by the intense winds of the eyewall, which will show up as a ring of bright reds and greens on the velocity map. Understanding these color codes and patterns allows you to interpret the storm’s structure, its intensity, and its potential threats. Many weather websites and apps provide these maps, often with overlays showing storm tracks, watches, and warnings. Familiarizing yourself with these tools before hurricane season starts is a smart move, guys, ensuring you can quickly and effectively understand the information when it matters most.

Advanced Features and Future of Doppler Radar

As impressive as current hurricane Doppler radar tracking is, technology never stands still, right? Meteorologists are constantly working on refining these systems and developing new capabilities. One major advancement is the implementation of dual-polarization radar. Unlike traditional Doppler radar that sends out a single pulse, dual-pol radar sends out pulses horizontally and vertically. This allows it to not only measure wind speed but also determine the shape , size , and type of precipitation particles – whether it’s rain, hail, snow, or even debris being tossed around by extreme winds. This extra information is invaluable for assessing storm severity and identifying potential hazards like hail or tornadic debris. Furthermore, the integration of Doppler radar data with sophisticated computer models is leading to more accurate and longer-range forecasts. These models take the real-time radar observations and use them to predict the storm’s evolution and track days in advance. Looking ahead, guys, we can expect even more sophisticated radar networks, potentially including mobile Doppler units that can be deployed closer to storms for even more detailed data. The fusion of Doppler radar with satellite imagery, aircraft reconnaissance, and other data sources will continue to provide an increasingly comprehensive picture of hurricane behavior. The goal is always to improve our ability to predict these devastating storms, giving everyone more time to prepare and stay safe. It’s an exciting field, and these advancements are directly translating into better protection for communities facing hurricanes.

Staying Informed with Live Radar Feeds

In today’s connected world, staying informed during a hurricane has never been easier, thanks to hurricane Doppler radar tracking being readily available online. Numerous reputable weather websites and mobile applications offer live radar feeds, allowing you to monitor storm activity from anywhere with an internet connection. These platforms often present the data in an easy-to-understand format, with clear color-coded maps showing precipitation intensity and wind speed. Many also provide animations that show the storm’s past movement and projected future path, giving you a dynamic view of the developing situation. It’s essential to rely on trusted sources, such as national meteorological services (like the National Hurricane Center in the U.S.), major weather networks, and well-established private weather companies. These sources not only provide raw radar data but also interpret it, offering official forecasts, watches, and warnings. By regularly checking these live feeds, you can stay updated on the storm’s progress, understand the urgency of the situation, and make informed decisions about your safety and preparedness. Don’t wait until a storm is upon you to figure out how to access this information; familiarize yourself with your preferred weather apps and websites before hurricane season. This proactive approach ensures that when a hurricane threatens, you have the knowledge and the tools at your fingertips to navigate the situation effectively and keep yourself and your loved ones safe. It’s all about being prepared, and live radar is a cornerstone of that preparation.